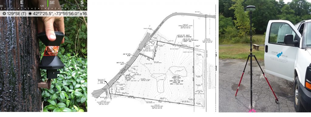
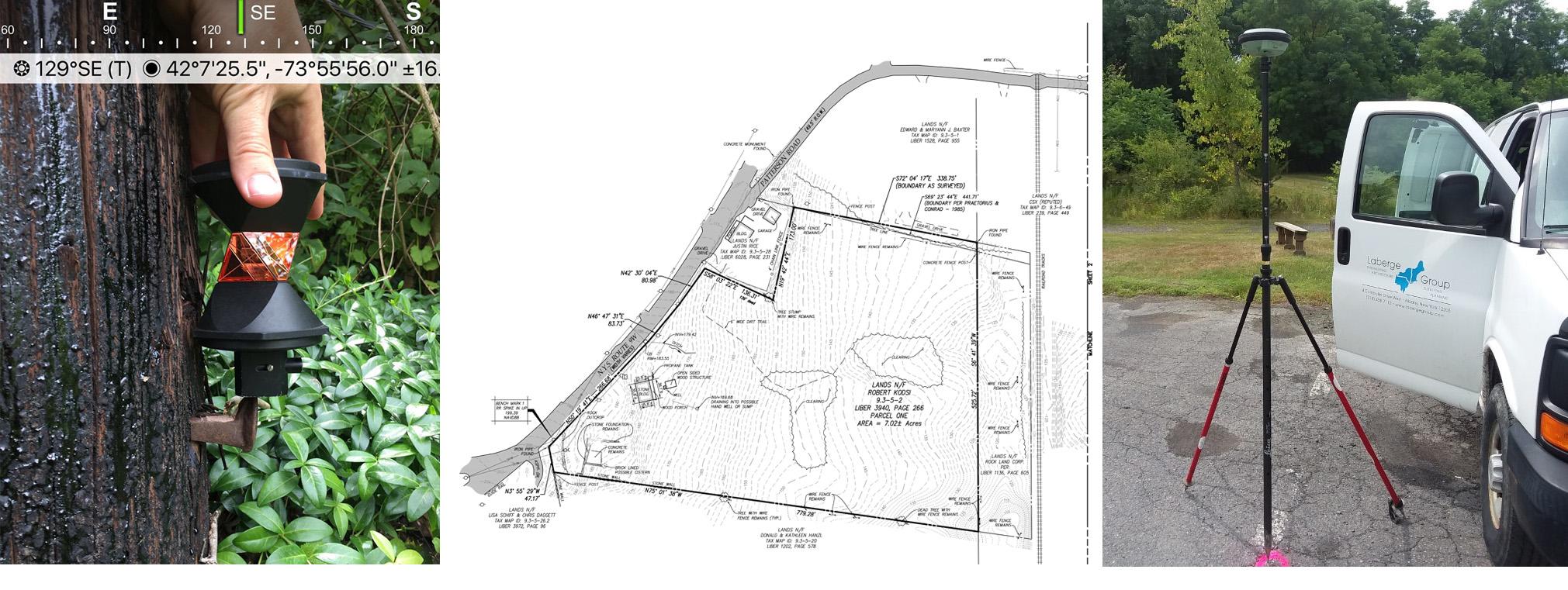
Laberge Group was retained by Summit Ridge Energy to conduct topographic and property boundary surveys of 3 sites in preparation for the installation of solar arrays in Ulster County and Albany County, New York. We are proud to partner with this excellent client to facilitate the use of more than 100 acres for solar farm projects that will generate clean and renewable energy in - and for - our region.
Laberge Group offers a full array of solar energy site services, including:
- Solar array sketch plan application development;
- Phase I Environmental Site Assessments (ESA);
- Wetlands, habitat, threatened and endangered species assessments;
- Geotechnical site investigations and evaluations;
- Site plan preparation; and
- Planning Board / Zoning Board meeting services.
To schedule a free consultation about solar site services, call Ben Syden at (518) 458-7112 or contact us at clientservices@labergegroup.com

Recent Comments